La Habana/Casi 650.000 personas del oriente de Cuba deben estar preparadas para ser evacuadas o protegidas ante el próximo impacto del huracán Melissa, según informó la Presidencia este domingo tras una reunión ampliada del Consejo de Defensa Nacional (CDN). En la cita, Miguel Díaz-Canel recalcó que “lo fundamental es la protección de la población” y ordenó “evacuar a todas las personas que estén aguas abajo de la presas, micropresas y en todo lo que sea zona de inundación”.
“Hay que trabajar intensamente lo que queda de domingo y lunes. Si trabajamos para la peor de las variantes estamos garantizando la tranquilidad en todo este tema. Este evento entrará de noche o madrugada, y lo que no hagamos ahora lo perdemos después”, afirmó ayer. También llamó a prestar “especial atención” a la población vulnerable y al aseguramiento de los servicios primarios de salud y el sistema de vigilancia epidemiológica.
Díaz-Canel pidió mantener “constante comunicación” con los vecinoz de las zonas, usando “todas las vías posibles, sobre todo en medio de la situación eléctrica del país”. Muchos ciudadanos viven casi al margen de lo que viene, ya que las largas jornadas sin electricidad, especialmente en la zona oriental, a la que llegará Melissa, les impiden ver la televisión o tener acceso a otras fuentes informativas.
Muchos ciudadanos viven casi al margen de lo que viene, ya que las largas jornadas sin electricidad, especialmente en la zona oriental, a la que llegará Melissa, les impiden ver la televisión
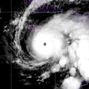
El Instituto de Meteorología (Insmet) prevé que el huracán, ahora un categoría 4 (de 5) en la escala Saffir-Simpson, toque tierra cubana el martes por la noche y que transite de sur a norte por el país durante 12 horas.
Los presidentes de los Consejos de Defensa de las provincias declaradas en fase de “alerta” informaron por videoconferencia sobre las labores que realizan para proteger a las personas y recursos vitales, el acondicionamiento de centros de evacuación y de elaboración de alimentos, así como en la comunicación por varias vías. Los temores, en medio de una situación muy precaria para la Isla, son enormes.
En las provincias de Santiago de Cuba y Las Tunas prevé protección para 258.579 y 72.000 personas, respectivamente. Además, se va a evacuar a 110.000 vecinos en Granma, 69.000 en Holguín y 139.914 en Guantánamo. En total, cerca de un 7% de la población cubana se encuentra en alerta por Melissa, según cifras oficiales.
El director del Insmet, Celso Pazos, precisó que Melissa es un huracán de “gran intensidad”, acompañado de vientos superiores a 200 km/h y lluvias intensas que representan uno de los factores “más peligrosos” de este sistema, el cual generará inundaciones a su llegada a la costa suroriental cubana.
Se estiman acumulados de entre 200 y 400 milímetros en 34 o 48 horas, que serán superiores en zonas montañosas. También se prevén penetraciones del mar en la costa sur, a su entrada, y en el norte, a su salida, con inundaciones costeras.
El general Ramón Pardo Guerra, jefe del Estado Mayor Nacional de la Defensa Civil, informó que serán evacuados varios centenares de personas, incluyendo turistas, por las lluvias que ya se están produciendo. “Es una situación que continuará complejizándose debido a la saturación de los suelos”, especificó.
El previsible azote de Melissa a Cuba tiene como antecedente más cercano a la tormenta tropical Imelda, que a finales del pasado septiembre golpeó con fuertes lluvias también a su región oriental, donde dejó dos fallecidos, varios miles de desplazados, inundaciones, deslaves, ríos desbordados y derrumbes de viviendas, entre otros daños.
En Granma, Yudelkis Ortiz Barceló, primera secretaria del comité provincial del Partido Comunista, dijo que hace una semana que el territorio se prepara. Se identificaron 98 zonas críticas y se han preparado los centros de evacuación (224 en total) y los puntos para la elaboración de alimentos. La funcionaria sostuvo que también se han estado desarrollando labores de saneamiento y desatasco, poda de ramas y otras acciones de limpieza.
El 15% de la población granmense está en alerta, incluyendo a 470 embarazadas que han sido ingresadas por prevención, ya que residen en zonas vulnerables o tienen algún tipo de riesgo. Además, hay 116 familias protegidas, y ayer domingo comenzó el grueso de las evacuaciones, que han sido asumidas con “rigor y disciplina”, según Ortiz.
Además, hay 116 familias protegidas, y ayer domingo comenzó el grueso de las evacuaciones, que han sido asumidas con “rigor y disciplina”, según Ortiz
Las mismas palabras empleó Beatriz Johnson Urrutia, primera secretaria del Partido en Santiago de Cuba. Allí, se han activado los nueve consejos de defensa municipal y los 126 consejos de defensa a nivel de zona. Un 25% (258.573 personas) de los santiagueros está en los planes de protección mientras se liberan las presas más importantes. La funcionaria alertó de que se presta especial atención a la cosecha cafetalera, “pues en los macizos del cultivo se contabilizan unas 49.000 latas maduras”.
En Holguín se prevé evacuar a 305.530 personas en los 151 centros disponibles. Joel Queipo Ruiz, primer secretario del comité provincial del Partido, dijo que se ha trabajado con el criterio de “prepararse para el peor escenario, para que así nada nos sorprenda”.
Mientras, en Guantánamo, su homólogo, Yoel Pérez García, dijo que el 30% de la población, unas140 000 personas, están en alerta y se dispone de 108 centros. Las Tunas tiene 113 para las 72.000 personas cuya evacuación se prevé, dijo Osbel Lorenzo Rodríguez, primer secretario del comité provincial.
Los meteorólogos cubanos han advertido que la actual temporada de ciclones en el océano Atlántico y Mar Caribe, vigente del 1 de junio al 30 de noviembre, será “muy activa”, con la posible formación de ocho huracanes.
De acuerdo con sus pronósticos, la probabilidad de que se origine e intensifique al menos un huracán en el Caribe es elevada (75%), mientras que es del 50% para que uno de procedencia atlántica penetre en el Mar Caribe y afecte a la Isla.
En la temporada ciclónica de 2024 dos huracanes golpearon directamente la Isla. El primero fue Óscar, que en octubre impactó con categoría 1 también en el oriente del país, y luego un mes más tarde Rafael, con categoría 3, castigó el occidente cubano y provocó el colapso total del sistema eléctrico nacional.
En su paso por Haití, el huracán, que sigue siendo una amenaza, ha dejado tres muertos y 16 heridos, además de 10 casas afectadas y 450 inundadas
En su paso por Haití, el huracán, que sigue siendo una amenaza, ha dejado tres muertos y 16 heridos, además de 10 casas afectadas y 450 inundadas, según el más reciente balance de la Dirección de Protección Civil (DPC). “En vista de la cantidad de lluvia caída existen riesgos de inundaciones y deslizamientos de tierra, ya que el suelo está saturado de agua”, dijeron las autoridades.
Por su parte, el presidente de la República Dominicana, Luis Abinader, llamó este domingo a encaminarse hacia “la normalidad” tras varios días con gran parte de sus provincias en niveles de alerta roja, en las que se suspendió la jornada laboral.
El dominicano Centro de Operaciones de Emergencias (COE) decidió ayer rebajar a cuatro las provincias en alerta roja, las cuales están localizadas al suroeste del país, mientras que otras trece se encuentran en aviso amarillo y la misma cantidad en verde.
Hasta este momento, Melissa causó un muerto e inundaciones en territorio dominicano, y el COE indicó que hay “735 viviendas afectadas, 3.765 personas desplazadas, cuatro albergues activados, con 77 personas alojadas y 48 comunidades incomunicadas”.
DERECHOS DE AUTOR
Esta información pertenece a su autor original y se encuentra en el sitio https://www.14ymedio.com/cuba/650-000-cubanos-alerta-huracan_1_1119583.html
